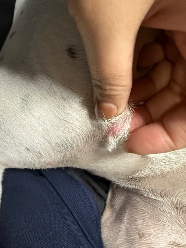
chiu ting 2026-01-15 我的狗狗快兩歲,又前胸口表皮層長了一顆硬硬的顆粒,壓它摸它狗狗也沒有特別的反應,有大概一個多月了,想請問這會是比較像是什麼? 姚勝隆 院長 2026-01-19 狗狗皮膚表皮層長出硬硬的顆粒,可能是毛囊炎、皮脂腺囊腫、脂肪瘤變硬、良性瘤(如乳突瘤),甚至有極少數惡性腫瘤的可能,建議密切觀察變化;若顆粒快速變大、破潰流血、狗狗頻繁抓咬或出現精神食慾不佳,應盡速帶去獸醫檢查。 0 分享–– 我也要提問
相關問答 是否是腫瘤? 狗狗大概一年前開始長這顆東西但有在越變越大的趨勢 摸起來外面軟軟裡面有點硬硬的感覺都沒有滲血什麼的 目前狗狗身體狀況都很正常 ET Dream 身體部位腫脹 肛門腺問題 今天發現米亞食慾不佳 而且有點疏離 就稍微檢查一下身體 發現屁股肛門腺發紫 於是我們就立刻帶去看醫生 醫生處理方法是先用針刺破 然後將膿血擠出 但感覺沒擠的很乾淨 醫生說他會開口服藥粉讓她吃 然後還要藥水早晚滴 讓我們每天早晚擠一下傷口讓膿血流出來 然後再擦藥 但我們帶回家以後傷口還是持續的再流血 是沒有流特別誇張 但感覺是不是哪裡不對 但打電話問了醫生 他說是正常的 叫我們擠乾淨就好 但擠了很久 看米亞也很痛 還是有在流血 趴呆 其他 狗介於9.5公斤到10.5公斤應該怎麼吃驅蟲藥 會時不時的抓耳搔腮,身上有小跳蚤還有類似像壁蝨的大蟲,想請問醫生這樣一錠除應該要怎麼吃? 是要吃4.5kg-10kg? 還是>10kg-12kg? 蓮 搔抓身體 私密處紅紅的 請問醫生,近期注意到母狗的私密處像圖片這樣開開紅紅的正常嗎? 有次發現私密處那邊有一些毛揪在一起硬硬的,請問這和她平常愛騎娃娃或舔私密處造成的嗎? 小E 其他 吞嚥問題? 狗狗休息時會出現恩、恩的聲音,從喉嚨發出的,伴隨舔,不像乾嘔也不是打嗝。目前有氣管塌陷問題及吃支氣管擴張劑心臟用藥。食慾排便精神都可以。 想請問怎麼了? 阿麥 其他 出籠子被成犬衝咬傷 被成犬衝咬疼痛尖叫隔開兩隻狗 2個月幼犬持續出血使用紗布止血後 3/28有去動物醫院看診 醫生有開口服藥以及噴劑 目前傷口有慢慢結痂 有擦一點網路上買的藥膏 還是不太放心 周遭稍微有點小腫不確定是否凝血 請問這樣傷口恢復的情況是需要回診嗎 Quiana 其他 肉墊破皮了 最近有在領養一隻米克斯弟弟 毛球原本肉墊正常 但可能跟弟弟玩跑來跑去 肉墊破皮 隔一天看又在多破一層 最近都沒有休假無法帶去看醫生 請問這樣會有影響什麼嗎? 滿擔心的 謝謝醫生 Nina 其他 5個月幼貓進食後鼻樑特定區塊變黑,乾燥後消失 我家 momo(4.5個月大英短)最近出現一個奇怪現象:每次吃完飯或喝完水,鼻樑上方特定區域就會變得很深色、黑黑的。 詳細觀察如下: 動態變化: 只有在進食/喝水(可能沾到濕氣)後出現,過一陣子毛髮乾了就會恢復正常的淺灰色。 深度感: 撥開毛髮觀察,感覺深色是在毛髮深處(皮膚層),不像表面附著的髒污。 已排除情況: 已用伍德氏燈照過排除黴菌。該處無脫毛、無紅腫結痂,貓咪也不會抓撓。 測試紀錄: 曾嘗試用乾洗液擦拭,但擦不出明顯髒污,且貓咪對氣味敏感。 請問這可能是單純的「濕毛髮透視皮膚色」現象,還是油脂堆積、或是換毛期毛髮稀疏導致的? Jackson 其他 貓上呼吸道感染有發燒 鼻塞 2/27 前個禮拜感覺食量有下降,直到227覺得很不對看醫生,發燒39.7度 3/1 血檢+x光,退燒但一直嗜睡(晚上5點到隔天早上8點) 3/6 看醫生,這其中退燒,但開始晃頭、呼吸異音、打噴嚏、吃東西流眼淚 3/10 換醫師,狀況有改善 3/13 持續用藥,晃頭異音噴嚏都有改善 3/18 停藥後又復發 3/21 再拿藥 但到現在3/24 沒改善 目前狀況: 狀態 食量超低(原先5-7份現在只吃1份,活動力很差一直睡覺) 晃頭-一直用手用鼻子-打噴嚏-只有鼻水-呼吸聲大-不太喝水-不吃乾糧-很少自己洗澡 兩天沒大便了,乾嘔但沒吐 她毛的狀況分辨 請問還能再做進一步檢查嗎... Amber Mio 食慾/精神不振 清晨固定咳嗽 貓固定會在早上咳嗽持續一分鐘左右,只有一次吐出白色泡泡。看醫生後有開藥,但狀況一樣,請問可以從哪個方面去觀察或是需要換醫院檢查嗎 黃奕豪 咳嗽
肛門腺問題 今天發現米亞食慾不佳 而且有點疏離 就稍微檢查一下身體 發現屁股肛門腺發紫 於是我們就立刻帶去看醫生 醫生處理方法是先用針刺破 然後將膿血擠出 但感覺沒擠的很乾淨 醫生說他會開口服藥粉讓她吃 然後還要藥水早晚滴 讓我們每天早晚擠一下傷口讓膿血流出來 然後再擦藥 但我們帶回家以後傷口還是持續的再流血 是沒有流特別誇張 但感覺是不是哪裡不對 但打電話問了醫生 他說是正常的 叫我們擠乾淨就好 但擠了很久 看米亞也很痛 還是有在流血 趴呆 其他
狗介於9.5公斤到10.5公斤應該怎麼吃驅蟲藥 會時不時的抓耳搔腮,身上有小跳蚤還有類似像壁蝨的大蟲,想請問醫生這樣一錠除應該要怎麼吃? 是要吃4.5kg-10kg? 還是>10kg-12kg? 蓮 搔抓身體
出籠子被成犬衝咬傷 被成犬衝咬疼痛尖叫隔開兩隻狗 2個月幼犬持續出血使用紗布止血後 3/28有去動物醫院看診 醫生有開口服藥以及噴劑 目前傷口有慢慢結痂 有擦一點網路上買的藥膏 還是不太放心 周遭稍微有點小腫不確定是否凝血 請問這樣傷口恢復的情況是需要回診嗎 Quiana 其他
肉墊破皮了 最近有在領養一隻米克斯弟弟 毛球原本肉墊正常 但可能跟弟弟玩跑來跑去 肉墊破皮 隔一天看又在多破一層 最近都沒有休假無法帶去看醫生 請問這樣會有影響什麼嗎? 滿擔心的 謝謝醫生 Nina 其他
5個月幼貓進食後鼻樑特定區塊變黑,乾燥後消失 我家 momo(4.5個月大英短)最近出現一個奇怪現象:每次吃完飯或喝完水,鼻樑上方特定區域就會變得很深色、黑黑的。 詳細觀察如下: 動態變化: 只有在進食/喝水(可能沾到濕氣)後出現,過一陣子毛髮乾了就會恢復正常的淺灰色。 深度感: 撥開毛髮觀察,感覺深色是在毛髮深處(皮膚層),不像表面附著的髒污。 已排除情況: 已用伍德氏燈照過排除黴菌。該處無脫毛、無紅腫結痂,貓咪也不會抓撓。 測試紀錄: 曾嘗試用乾洗液擦拭,但擦不出明顯髒污,且貓咪對氣味敏感。 請問這可能是單純的「濕毛髮透視皮膚色」現象,還是油脂堆積、或是換毛期毛髮稀疏導致的? Jackson 其他
貓上呼吸道感染有發燒 鼻塞 2/27 前個禮拜感覺食量有下降,直到227覺得很不對看醫生,發燒39.7度 3/1 血檢+x光,退燒但一直嗜睡(晚上5點到隔天早上8點) 3/6 看醫生,這其中退燒,但開始晃頭、呼吸異音、打噴嚏、吃東西流眼淚 3/10 換醫師,狀況有改善 3/13 持續用藥,晃頭異音噴嚏都有改善 3/18 停藥後又復發 3/21 再拿藥 但到現在3/24 沒改善 目前狀況: 狀態 食量超低(原先5-7份現在只吃1份,活動力很差一直睡覺) 晃頭-一直用手用鼻子-打噴嚏-只有鼻水-呼吸聲大-不太喝水-不吃乾糧-很少自己洗澡 兩天沒大便了,乾嘔但沒吐 她毛的狀況分辨 請問還能再做進一步檢查嗎... Amber Mio 食慾/精神不振
相關文章 【寵物聽我說】EP284|《毛孩醫事事務所》貓咪糖尿病知多少,會好嗎?如何照顧? 宋子揚主治獸醫師. 2026-04-23 .瀏覽 2188 毛孩皮膚大解析:為什麼皮膚問題總是反反覆覆?|專業獸醫—黃偉珍 黃偉珍院長. 2026-04-23 .瀏覽 2698 行為問題、免疫力低下…重視狗狗的情緒健康|專業獸醫—蔡定宏 蔡定宏主治獸醫師. 2026-04-17 .瀏覽 3352 別讓「無法刷牙」成為忽視犬貓口腔健康的絆腳石|專業獸醫—蔡定宏 蔡定宏主治獸醫師. 2026-04-17 .瀏覽 3318 寵物食品標籤怎麼看?毛毛咪呀帶你3分鐘成為「標籤小達人」!|毛毛咪呀 PetTalk. 2026-04-16 .瀏覽 3371 無穀、低穀、含穀配方差在哪?教你選出適合自家貓狗的主食|毛毛咪呀 PetTalk. 2026-04-16 .瀏覽 3760
相關文章 【寵物聽我說】EP284|《毛孩醫事事務所》貓咪糖尿病知多少,會好嗎?如何照顧? 宋子揚主治獸醫師. 2026-04-23 .瀏覽 2188 毛孩皮膚大解析:為什麼皮膚問題總是反反覆覆?|專業獸醫—黃偉珍 黃偉珍院長. 2026-04-23 .瀏覽 2698 行為問題、免疫力低下…重視狗狗的情緒健康|專業獸醫—蔡定宏 蔡定宏主治獸醫師. 2026-04-17 .瀏覽 3352 別讓「無法刷牙」成為忽視犬貓口腔健康的絆腳石|專業獸醫—蔡定宏 蔡定宏主治獸醫師. 2026-04-17 .瀏覽 3318 寵物食品標籤怎麼看?毛毛咪呀帶你3分鐘成為「標籤小達人」!|毛毛咪呀 PetTalk. 2026-04-16 .瀏覽 3371 無穀、低穀、含穀配方差在哪?教你選出適合自家貓狗的主食|毛毛咪呀 PetTalk. 2026-04-16 .瀏覽 3760