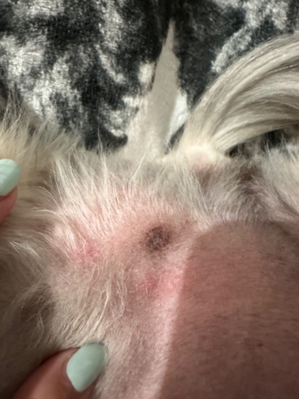
汪汪 2025-11-01 剛剛突然發現安安長了幾顆紅色丘疹,沒有抓癢,也不會舔,沒有分泌物 姚勝隆 獸醫師 2025-11-14 一般常見的感染而引起的丘疹,建議環境清潔、狗狗本身的清潔。 可以先請獸醫師開外用藥膏,如果沒有改善,需口服藥物治療。 0 分享–– 我也要提問
相關問答 腳受傷了怎麼辦 貓咪的腳受傷了(看到她受傷至今大約七天,前兩天牠還有明顯頗腳,今天看到她行動又比較敏捷了,我需要帶她就醫嗎? 神經喵 食慾/精神不振 行為非常異常 平常會坐,趴,最近一星期都不坐,趴,一直站著,食慾正常,到晚上會去窩裡睡覺,不知怎麼了,做健檢,内臟器官都正常,X光也還好,不知該怎麼辦 陳冰潔 其他 拉肚子是不是不適合吃益生菌? 這幾天貓咪腸胃炎的關係,又吐又拉的,看了醫生,醫生開了止瀉(早晚各0.5mg的Loperamide)和止吐(每天一次4mg止吐寧)的。吃了1~2天左右,便便就成型,也不再嘔吐了,所以就放心給了平常常吃的益生菌(腸寶),沒想到隔天,變成拉水便了,拉的更利害了, 是不是在腸胃炎期間要停吃呢? ★腸寶在腸胃炎之前,就有長期吃的習慣了,吃了好幾個月了,都無異常。 Chuang Kitty 排泄異常 貓咪食慾正常,但嗜睡 肚子有點小脹 她目前要7歲,已結紮,前年有因為誤吃異物開過刀 每天都會大便,但是偏乾(她喝水都用手沾著喝),最近比較常母雞蹲,頭趴的很低,睡眠時間也比較長 目前一樣能跳,會叫,食慾也正常,但總感覺她哪裡怪 去年,同一胎的哥哥生病離開,我不確定是不是我太緊張了,希望可以知道更多相關知識 巫旆宜 其他 吐黃水、不吃、CK值1688 1/18 14:00-17:00間 第一次嘔吐 1/19 5:50 第二次嘔吐 1/19 8:00-17:00間 第三次嘔吐 1/19 18:00 就診 打一針抗生素&止吐 1/20 8:00-17:0間 第四次嘔吐 1/20 20:00 就診 血檢 最主要的問題是CK值1688⋯超級爆表,這段期間內除食慾不振外,精神正常,對於窗戶外/門外聲響皆有反應,會玩逗貓棒。 陳姳蓁 嘔吐 請問這是什麼皮膚病 骨折浪貓不方便就醫 之前看起來快好了 結果頭套拿掉他又重新去咬到流血 位置在左腋下 原本看起來就沒什麼毛 有再剃掉一些 因是膽小骨折浪貓 不好就醫 懇請醫生幫忙建議目前該如何是好 Ruru Chen 搔抓身體 狗胸口一顆硬硬粉粉的顆粒 我的狗狗快兩歲,又前胸口表皮層長了一顆硬硬的顆粒,壓它摸它狗狗也沒有特別的反應,有大概一個多月了,想請問這會是比較像是什麼? chiu ting 皮膚異常 亂大便跟尿尿(以前從未發生) 食慾正常,近期開始突然在家隨地大小便,已經換飼料跟加吃益生菌,情況未改善,爾偶會有一點點血便,應該做甚麼樣的檢查? zozo 排泄異常 天竺鼠胸口脫毛 天竺鼠、公、已結紮 近期發現他的胸口有一片小脫毛,醫生檢查皮膚正常無感染發炎、說是摩擦造成,請問是真的嗎?環境地面已經是布墊為主了,我還能怎麼改善呢?還是是吃草吃飯時候的摩擦嗎? Maron 皮膚異常 屁股腫脹 有透明無色無味液體 手手去年8月進行了截尾、後腿大面積清創+皮瓣移植手術 十月左右屁股開始腫脹,一直到現在都還沒消腫,摸起來是硬硬的,但他好像不會痛。近兩週醫院開了消腫藥,吃了之後好像有稍微消腫,但肛門開始會有分泌物流出,是透明無色無味的,摸起來有一點黏黏的,沾到毛上乾掉會硬掉,量蠻多的,會從屁股留下來,讓墊子濕掉。 請問屁股的腫脹是因為手術的原因嗎?流液體是否正常? Fiona 身體出現分泌物
拉肚子是不是不適合吃益生菌? 這幾天貓咪腸胃炎的關係,又吐又拉的,看了醫生,醫生開了止瀉(早晚各0.5mg的Loperamide)和止吐(每天一次4mg止吐寧)的。吃了1~2天左右,便便就成型,也不再嘔吐了,所以就放心給了平常常吃的益生菌(腸寶),沒想到隔天,變成拉水便了,拉的更利害了, 是不是在腸胃炎期間要停吃呢? ★腸寶在腸胃炎之前,就有長期吃的習慣了,吃了好幾個月了,都無異常。 Chuang Kitty 排泄異常
貓咪食慾正常,但嗜睡 肚子有點小脹 她目前要7歲,已結紮,前年有因為誤吃異物開過刀 每天都會大便,但是偏乾(她喝水都用手沾著喝),最近比較常母雞蹲,頭趴的很低,睡眠時間也比較長 目前一樣能跳,會叫,食慾也正常,但總感覺她哪裡怪 去年,同一胎的哥哥生病離開,我不確定是不是我太緊張了,希望可以知道更多相關知識 巫旆宜 其他
吐黃水、不吃、CK值1688 1/18 14:00-17:00間 第一次嘔吐 1/19 5:50 第二次嘔吐 1/19 8:00-17:00間 第三次嘔吐 1/19 18:00 就診 打一針抗生素&止吐 1/20 8:00-17:0間 第四次嘔吐 1/20 20:00 就診 血檢 最主要的問題是CK值1688⋯超級爆表,這段期間內除食慾不振外,精神正常,對於窗戶外/門外聲響皆有反應,會玩逗貓棒。 陳姳蓁 嘔吐
請問這是什麼皮膚病 骨折浪貓不方便就醫 之前看起來快好了 結果頭套拿掉他又重新去咬到流血 位置在左腋下 原本看起來就沒什麼毛 有再剃掉一些 因是膽小骨折浪貓 不好就醫 懇請醫生幫忙建議目前該如何是好 Ruru Chen 搔抓身體
天竺鼠胸口脫毛 天竺鼠、公、已結紮 近期發現他的胸口有一片小脫毛,醫生檢查皮膚正常無感染發炎、說是摩擦造成,請問是真的嗎?環境地面已經是布墊為主了,我還能怎麼改善呢?還是是吃草吃飯時候的摩擦嗎? Maron 皮膚異常
屁股腫脹 有透明無色無味液體 手手去年8月進行了截尾、後腿大面積清創+皮瓣移植手術 十月左右屁股開始腫脹,一直到現在都還沒消腫,摸起來是硬硬的,但他好像不會痛。近兩週醫院開了消腫藥,吃了之後好像有稍微消腫,但肛門開始會有分泌物流出,是透明無色無味的,摸起來有一點黏黏的,沾到毛上乾掉會硬掉,量蠻多的,會從屁股留下來,讓墊子濕掉。 請問屁股的腫脹是因為手術的原因嗎?流液體是否正常? Fiona 身體出現分泌物
相關文章 【寵物聽我說】EP243|犬貓結紮全攻略,飼主的術前術後必修課|專業獸醫—黃偉珍 黃偉珍獸醫師. 2026-01-27 .瀏覽 2230 【寵物聽我說】EP242|《可沛寵藥-獸醫師的毛病診聊室》毛孩皮膚SOS:從過敏到細菌感染全面解析 吳乃聖獸醫師. 2026-01-27 .瀏覽 2209 【寵物聽我說】EP241|孩子的第一份動物醫院實習:獸醫小助理職人班幕後花絮|專業獸醫助理—TingTing PetTalk. 2026-01-27 .瀏覽 2213 不是有幫毛孩洗澡就好,洗劑成分、洗澡頻率都是關鍵|專業獸醫—林孟潔 林孟潔主治獸醫師. 2026-01-22 .瀏覽 3948 病從口入是真的!狗狗貓咪的牙周病,其實可能影響全身健康|專業獸醫—林孟潔 林孟潔主治獸醫師. 2026-01-20 .瀏覽 4395 【寵物聽我說】EP240|《可沛寵藥-獸醫師的毛病診聊室》排尿問題別輕忽,泌尿系統健康全攻略|專業獸醫—黃偉珍、吳乃聖 吳乃聖獸醫師. 2026-01-19 .瀏覽 2280
相關文章 【寵物聽我說】EP243|犬貓結紮全攻略,飼主的術前術後必修課|專業獸醫—黃偉珍 黃偉珍獸醫師. 2026-01-27 .瀏覽 2230 【寵物聽我說】EP242|《可沛寵藥-獸醫師的毛病診聊室》毛孩皮膚SOS:從過敏到細菌感染全面解析 吳乃聖獸醫師. 2026-01-27 .瀏覽 2209 【寵物聽我說】EP241|孩子的第一份動物醫院實習:獸醫小助理職人班幕後花絮|專業獸醫助理—TingTing PetTalk. 2026-01-27 .瀏覽 2213 不是有幫毛孩洗澡就好,洗劑成分、洗澡頻率都是關鍵|專業獸醫—林孟潔 林孟潔主治獸醫師. 2026-01-22 .瀏覽 3948 病從口入是真的!狗狗貓咪的牙周病,其實可能影響全身健康|專業獸醫—林孟潔 林孟潔主治獸醫師. 2026-01-20 .瀏覽 4395 【寵物聽我說】EP240|《可沛寵藥-獸醫師的毛病診聊室》排尿問題別輕忽,泌尿系統健康全攻略|專業獸醫—黃偉珍、吳乃聖 吳乃聖獸醫師. 2026-01-19 .瀏覽 2280